Quinta-feira, 20 de dezembro de 2018 - 15h28

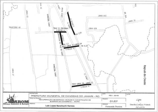
Haverá também a construção de novas vias, além da instalação de bueiros em
alguns acessos ao assentamento.
Na manhã desta quarta-feira (19), o prefeito Luís Ikenohuchi assinou o convênio
de número 853502/2017 com o Instituto Nacional de Colonização e Reforma Agrária
(Incra) para recuperação e construção de 15,768 km, de estradas vicinais, no
projeto de assentamento Flor do Amazonas. As obras prevêem patrolamento,
abaulamento, limpeza lateral, encascalhamento com compactação e bueiros.
Serão contempladas as linhas cruzamento da LH2 / LH4 / LH3, linha 4, linha 13 e
linha 42. As linhas contempladas através desse convênio foram solicitadas pelos
moradores e incluídas no projeto. Algumas não foram aprovadas pelo Incra porque
já haviam sido realizadas em gestões passadas através de convênios. “Foi um processo
bem complexo, mas conseguimos superar as pendências exigidas pelo Incra e
aprovar o projeto que será licitado nos próximos meses. Parabéns ao
assentamento Flor do Amazonas pela conquista”, destacou Luís Ikenohuchi
Quarta-feira, 4 de março de 2026 | Porto Velho (RO)
Comunidade aprova construção de ponte na Estrada do Santo Antônio
Morando há mais de 40 anos no pequeno vilarejo às margens da Estrada do Santo Antônio, em Porto Velho, Heloísa Maia é uma das personagens mais conheci

Prefeitura de Porto Velho inicia construção de ponte na Estrada de Santo Antônio
Mesmo com o período chuvoso que atinge a capital rondoniense desde o início da semana, a frente de trabalho coordenada pela Prefeitura de Porto Velho,

Lei pode garantir spray de pimenta para mulheres em Porto Velho
O Poder Executivo de Porto Velho encaminhou à Câmara de Vereadores o Projeto de Lei nº 12/02/26, que institui a Política Municipal de Proteção à Mulhe

Prefeitura volta a isolar área no Cai N’Água após risco de desmoronamento
A Prefeitura de Porto Velho, por meio da Defesa Civil Municipal, acompanha de forma contínua a situação do canal localizado na região do Cai N’Água, q
Quarta-feira, 4 de março de 2026 | Porto Velho (RO)